413 Batey Rd, Seguin, TX 78155
Contact Jeff Froboese
Schedule A Showing
Property Photos
Priced at Only: $250,000
Address: 413 Batey Rd, Seguin, TX 78155
Est. Payment
For a Fast & FREE
Mortgage Pre-Approval
Apply Now
Mortgage Pre-Approval
Apply Now
Property Location and Similar Properties
- MLS#: 1922876 ( Land )
- Street Address: 413 Batey Rd
- Viewed: 52
- Price: $250,000
- Price sqft: $0
- Waterfront: No
- Year Built: Not Available
- Bldg sqft: 0
- Days On Market: 30
- Additional Information
- County: GUADALUPE
- City: Seguin
- Zipcode: 78155
- District: Nixon Isd
- Elementary School: Call District
- Middle School: Call District
- High School: Call District
- Provided by: Southern Capital Realty
- Contact: Chad Hahn
- (830) 822-4259

- DMCA Notice
-
DescriptionBeautiful Ag exempt land with giant oak trees thru out and it is only 18 minutes to Seguin! Build your dream custom home, bardominium or mobile home OR just buy a weekend hunting get away. Highly desirable Guadalupe County line land with lots of wildlife and minimal restrictions. No city taxes, No HOA. Freedom!
Features
Building and Construction
- Front Footage: 241
- Frontage: None
- Terrain: Level
Land Information
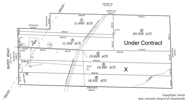
- Total Acres: 16.481
School Information
- Elementary School: Call District
- High School: Call District
- Middle School: Call District
- School District: Nixon Isd
- School Tax: 1.0746
Eco-Communities
- Septic System: Required
- Trees: Many, Mature
Utilities
- Utilities Available: Electric
- Utilities On Site: None
Finance and Tax Information
- Days On Market: 13
- Home Owners Association Mandatory: None
- Other Tax: 0.052
- Total Tax: 1.405
Other Features
- Contract: Exclusive Right To Sell
- Depth Feet: 2979
- Description: Wooded
- Improvements: County Road
- Instdir: FM 1117. Left on Batey Road. Lot on the Right.
- Legal Description: ABS: 212 SUR: PATRICK LYNCH, Tract 5, 16.481 Acres
- Location: Level
- Miscellaneous: Not Applicable
- Ph To Show: 8308224259
- Restrictions: Building
- Site Area Features: None
- Views: 52
Owner Information
- Owner Lrealreb: No
Payment Calculator
- Principal & Interest -
- Property Tax $
- Home Insurance $
- HOA Fees $
- Monthly -
Similar Properties
Nearby Subdivisions
(rural_g24) Rural Nbhd Geo Reg
Acre
Barnes Sol
Branch H
Caters Parkview
E Gortari
Eden Farms Sec 2
Elm Creek
Forest Oak Ranches Phase 2
Ga0268 Ragsdale W J
Ga0390
Glen Cove
Goodrum
Hickory Forrest
Hidden Oaks
Hiddenbrooke
Jackson Estates
Jaston
Jd Clements Survey
John B Cowan Surv A84
Las Brisas
Las Hadas
Mclean
N/a
N/a (common)/ Rural
Na
None
Not In Defined Subdivision
Out
Out/
Out/guadalupe Co.
Pecan Grove
Peters L H
Pipe Creek
Placid Heights
Pruitt James
Quail Run 2
Reneau J
Roselawn
Rural
Rural_g23
Ruralgruralg
Sandstone Hills
Sandy Oaks
Sattler Village
Saunders
Seay World
Seguin01 Seguin Neighborhood 0
Spring Hill
T O R Properties Ii
Tor Properties
Tor Properties Unit 2
Twin Creeks
Unknown
V Gortari
Vista Ridge
West End
Westgate
Westside Extension
Windsor Place
- TexSan Realty Group
- Premier Realty Group
- First in Real Estate
- Mobile: 210.334.7037
- Mobile: 210.334.7037
- Mobile: 210.334.7037
- jefffroboese@sbcglobal.net
- TexSan Realty Group
- Premier Realty Group
- First in Real Estate
- Mobile: 210.334.7037
- Mobile: 210.334.7037
- Mobile: 210.334.7037
- jefffroboese@sbcglobal.net
















